Jump to content
  • Newsletter

    Keep in touch with what's going on at Gay Authors and get emailed story recommendations weekly.

    Sign Up
    quokka
  • Author
  • 1,731 Words
  • 1,895 Views
  • 6 Comments
Stories posted in this category are works of fiction. Names, places, characters, events, and incidents are created by the authors' imaginations or are used fictitiously. Any resemblances to actual persons (living or dead), organizations, companies, events, or locales are entirely coincidental.
Note: While authors are asked to place warnings on their stories for some moderated content, everyone has different thresholds, and it is your responsibility as a reader to avoid stories or stop reading if something bothers you. 

Travelling Vets - 21. TV Chapter 21

“Clear the vehicles, some of them are heading this way,” I called out, and quickly the three vehicles were relocated from the open space, to make room for a landing area for the soldiers. One of the first to land had the rank of Lt Colonel, as he gathered up his parachute, and disengaged from the harness, before looking around and seeing us gathered, and automatically I snapped to attention.

“Sir, welcome back to Corunna Base and your training camp,” I said to the Colonel, “At ease, Mr Kendrik, you’re not in the Army any more, and thank you for the welcome,” the Colonel said smiling, and I smiled back before shaking his hand. “Sir, may I introduce my husband, Marcus Sanderson, my two younger brothers, Rhodes and Wynn, my two wards, Ryley and Langley Appleton, who are also my second cousins, and our Station Manager at Limestone Station – Jake,” I said making the introductions.

“We didn’t expect to see this kind of welcome from you,” the Colonel said to me, “Well sir, my brothers were on their way anyway, to assist us with preparing the station, the compound and the base for the cyclone, and we came across a very untidy training camp, along with two drunk caretakers and two of their guests when we arrived this morning, so we arranged for the local police to come and collect them for us. We have been busy most of today, cleaning up their mess, ready for your arrival, as you can see from that rubbish pile over there,” I stated.

The Colonel looked over in the direction that I had indicated, to see the big pile of rubbish bags, and other items in a heap under a distant tree, well away from the camp, because of the smell, and I saw the Colonel wrinkle up his nose when he took a few sniffs. “We were going to deal with that, but you all arrived a little early, sorry,” Marcus said to the Colonel.

“That is fine Mr Sanderson, we have been in worse situations when doing rescue and repair jobs in disaster zones overseas,” the Colonel replied, and he now had a dozen men gathered around him. “Excuse me, sir, how many men dropped out of that plane?’ Langley asked softly, and the Colonel squatted down to his level. “A total of 60 men dropped out of the plane, and a further 60 remained in the plane, along with all the equipment and supplies that we brought with us, and they will land on the main runway at the base,” the Colonel replied.

“Bushmasters Colonel?” Wynn asked as the Colonel stood up again, “Yes, Master Kendrick, we have Bushmasters with us this time, five of them, as we will be around until after the cyclone passes to assist with any recovery duties that need to be done,” the Colonel replied.

“Sir, I am not sure what the condition of the other camp is like, as my family and I have been away for some time, overseas as well as over east recently,” I said to the Colonel. “Not to worry Mr Kendrik, we will deal with that ourselves, thank you all for what you have done to make the place liveable again, and leave it to me to deal with the caretakers,” the Colonel replied. “Very good sir, my family and I will be staying at the compound for the duration of the cyclone, but we will be out at Limestone Station just east of town for some of our stay,” I informed him.

Once back at the compound, we let Rhodes and Wynn settle into their rooms, while we relaxed in the main lounge area. “How are things looking over at Limestone?” I asked Jake. “Still lots to do, so I’m glad that you have some extra hands to assist,” Jake replied. A bit over an hour later, we arrived at Limestone Station, and while Marcus checked the vet clinic at the airport, the rest of us got to work to clean up and stow away loose items around the station homestead.

As the end of the day arrived, Jake and I had completed the majority of the clean-up around the station homestead, while Jessica and Marcus arrived at the homestead, and we sat down for a chat. “I have already sent the two staff to Kununurra for safety reasons, and now with Marcus’s assistance, we have everything packed away and locked up at the clinic,” Jessica informed me.

“We brought all the medicines with us, so there are no drugs at all at the clinic, which I thought we may take back to the compound with us,” Marcus added. “Good. Now when it comes to the arrival of the cyclone, if it is to bare down on us, I want everyone to be at the compound at Corunna, that includes you Jessica and Jake too,” I announced, and both agreed to this, and we discussed a few more things, before our family headed back down to Corunna for the night.

While preparing dinner, Marcus and I listened to the latest Cyclone alert, since it had been nearly six hours since we heard the last one. “On the news this hour, the Department of Emergency Services and the Bureau of Meteorology have just updated the alert for the fast-moving cyclone off the Pilbara Coast. The category Four cyclone, named Faith is located off the Pilbara Coast. Currently located 394 kilometres north of North Turtle Island and 370 kilometres north of Port Hedland. The current tracking of this cyclone is southwest at 14 kilometres an hour and is heading directly towards Debuch Island, on Balla Balla Station. Updates will be every hour, fifteen minutes after the news…”

“Well, that is better news, we may be in the clear this time if it keeps going the way it is,” I commented, “That is great news, but it has ruined our family weekend away from work thou,” Marcus replied, and I chuckled at this, “True, but at least we are together as a family and we have managed to get the place tired up properly,” I said in reply. After dinner and once the boys were in bed, Marcus and I listened in to one last cyclone update, just after 9 pm, before heading to bed.

“On the news this hour, the Department of Emergency Services and the Bureau of Meteorology have just updated the alert for the fast-moving cyclone off the Pilbara Coast. The category Four cyclone, named Faith is located off the Pilbara Coast. Currently located 320 kilometres north of North Turtle Island and 402 kilometres north of Port Hedland. The current tracking of this cyclone is south-southwest at 16 kilometres an hour and is heading directly towards Point Sampson. Updates will be every hour, fifteen minutes after the news…”

Well, that pretty much confirms that we are in the clear, as it has now passed due north of us now, and it’s tracking away from us,” I commented. “Let’s hope so, time for bed, I am exhausted,” Marcus replied letting out a loud yawn. When I woke up at 5 am the next morning, I quietly headed to the office to listen to the latest update on the cyclone.

“On the news this hour, the Department of Emergency Services and the Bureau of Meteorology have just updated the alert for the fast-moving cyclone off the Pilbara Coast. The category Four cyclone, named Faith is located off the Pilbara Coast. Currently located 246 kilometres north of Port Hedland. The current tracking of this cyclone is south at 14 kilometres an hour and is heading directly towards Port Hedland. Updates will be every half an hour…”

“Did I just hear that it is heading straight for Port Hedland?” Marcus asked me from the doorway, luckily, I heard him this time, saving me from a scare at his sudden arrival, “Yes, which means we are still not out of the woods. I need to call Limestone, and get them to move here right away,” I replied, and by the time the boys woke up and were having breakfast, Jessica and Jake arrived with all of their belongings, as well as all the food supplies from the homestead.

Marcus and I had already closed up all of the steel storm shutters, that protect the compound from the strong winds, leaving one shutter open to allow access and a bit of ventilation, as the barometric pressure began to fall steeply, and it was starting to get windy. I had a call from the Colonel, who had informed us that the aircraft that they had arrived in was now in Broome, along with the majority of his men, and I invited him and the remaining men to take shelter at the compound, as I was a little concerned that the training camp would not withstand a direct or even an indirect cyclone hit, which he accepted.

With the family, Jessica, Jake and 12 Army soldiers, we all bunkered down for what will be a long and tiring wait, to see where the cyclone will make landfall, which we estimated to be in approximately 15 hours, at about midnight. After dinner, I had the boys settled into their temporary beds for the night, located in the master cabin behind the main living area, which faces towards the central open courtyard, where we have shutters covering all the windows, while mattresses are scattered around the living and dining areas of the main part of the house, and all shutters were now in place and secured, to protect us from the strong winds that we may or may not get.

At 9 pm, and with just a few more hours before the cyclone makes landfall, we listened to the latest update. “The Department of Emergency Services and the Bureau of Meteorology have just updated the alert for the fast-moving cyclone off the Pilbara Coast. The category Five cyclone, named Faith is rapidly approaching the Pilbara Coast. Currently located 46 kilometres north of North Turtle Island, having swung around to a southeast direction less than an hour ago. The current tracking of this cyclone is southeast at 18 kilometres an hour and is heading directly towards DeGrey Station, with Marble Bar and neighbouring stations and communities now on Red Alert, as the cyclone heads in that direction…”

Copyright March 2023 All Rights are Reserved, Preston Wigglesworth
  • Like 8
  • Love 13
  • Wow 4
  • Fingers Crossed 8
Stories posted in this category are works of fiction. Names, places, characters, events, and incidents are created by the authors' imaginations or are used fictitiously. Any resemblances to actual persons (living or dead), organizations, companies, events, or locales are entirely coincidental.
Note: While authors are asked to place warnings on their stories for some moderated content, everyone has different thresholds, and it is your responsibility as a reader to avoid stories or stop reading if something bothers you. 
You are not currently following this author. Be sure to follow to keep up to date with new stories they post.

Recommended Comments

Chapter Comments

Those who have been through cyclones (and hurricanes in the northern hemisphere) know that TDT - Time, Distance & Topography - affect the strength & therefore 'Category'. 

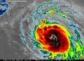
The last 'Alert' issued said: "... updated the alert for the fast-moving cyclone off the Pilbara Coast. The category Five cyclone, named Faith is rapidly approaching..."  (like illustrated below heading towards southeast Asia?)

 200.gif

Now they are in for a bit of a blow down. But they've secured what they could and know have to 'ride it out' and await the cleanup. 🤞🏼🙏🏼

Edited by Anton_Cloche
  • Love 3
  • Fingers Crossed 2
6 hours ago, ReaderPaul said:

Good chapter, @quokka  Have you personally been through any cyclones?

Yes, a few minor ones, in Darwin during 96/97 cyclone season.

Both started in the Gulf of Carpentaria, and first one was Cat 2 and went between Darwin and the town of Katherine, 300 kms to the south, which closed all major roads and highways in all directions.

Second one was on the exact same track as Cyclone Tracey, Christmas Day 1974, and this one stopped at the north west corner of the Tiwi Islands just like Tracey did, before Tracey turned and went straight for and destroyed Darwin, thankfully, this one in 96, which was also just before Christmas, kept going south west towards WA, but still scared the hell out of everyone, and eventually made landfall at Port Hedland as Cat 1.

I headed back to WA in August that following year, no more cyclones for me thanks.

Edited by quokka
  • Wow 2
View Guidelines

Create an account or sign in to comment

You need to be a member in order to leave a comment

Create an account

Sign up for a new account in our community. It's easy!

Register a new account

Sign in

Already have an account? Sign in here.

Sign In Now


×
×
  • Create New...